Featured
Last news
Morocco to bury 'little Rayan' who died trapped in well
Morocco prepared Monday to bury "little Rayan", the five-year-old boy who died trapped in a well despite a days-long rescue operation that gripped the world.
Ecuador capital flooding toll raised to 28
The heaviest flooding to hit Ecuador in two decades claimed 28 lives in the capital Quito this week and left 52 people injured, the city's mayor said Sunday.
NY's Queens borough offers a world of flavors, even amid pandemic
Across ethnically rich New York, you can easily dine on food from 100-plus countries. Or you can just go to the borough of Queens, where an incredibly diverse food scene is thriving even in these pandemic days.
Iraq presidential vote in question after boycotts, court ruling
Doubts hung Sunday over a scheduled parliamentary vote for Iraq's president after the Supreme Court temporarily suspended former foreign minister Hoshyar Zebari, a frontrunner for the post, and leading parliamentary factions announced a boycott.
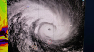
Cyclone Batsirai kills 10, displaces nearly 48,000 in Madagascar
Cyclone Batsirai killed at least 10 people and displaced nearly 48,000 when it struck Madagascar overnight, the national disaster management agency said on Sunday.
US-born Chinese skater savaged online after Olympics blunder
China appeared Sunday to censor an outpouring of social media vitriol against a naturalised US-born figure skater who took a tumble at the Beijing Games and nearly cost the hosts dear.
'Act of arson' at S.Africa church where Tutu is buried
A fire started by an arsonist broke out overnight at the cathedral where South Africa's spiritual father and anti-apartheid hero Archbishop Desmond Tutu is buried, a church leader announced Sunday.
Tunisian president dissolves top judicial watchdog, accuses it of bias
Tunisian President Kais Saied has dissolved a major independent judicial watchdog, he said Sunday, accusing it of bias and working for special interests.
Morocco in shock after tragic death of 'little Rayan'
Morocco was in shock Sunday after emergency crews found a five-year-old boy dead at the bottom of a well in a tragic end to a painstaking five-day rescue operation that gripped the nation and the world.
'Golden Dream' turns into nightmare for German port town
The unfinished "Golden Dream" rests quietly in a dock as the Covid-19 pandemic has turned the cruise ship into a nightmare for the shipyard in Wismar along Germany's windswept Baltic coast.
Australia urges Myanmar to free detained economist
Australia's foreign minister called Sunday for the "immediate release" of economist Sean Turnell, who has been detained by Myanmar's military junta for the past year.
Honduran president grants amnesty to husband's allies
Honduras' new president, leftist Xiomara Castro, who came to power promising to fight corruption, granted amnesty Saturday to many officials who served in her husband's government more than a decade ago.
UN's Guterres says expects China to let rights chief visit Xinjiang
UN Secretary-General Antonio Guterres told leaders in Beijing he expects them to allow UN human rights chief Michelle Bachelet to make a "credible" visit to China including a stop in the troubled Xinjiang region, his spokesman said Saturday.
Cyclone Batsirai closes in on eastern Madagascar
As powerful Cyclone Batsirai closed in on eastern Madagascar on Saturday people sought shelter in more secure concrete buildings while others reinforced their roofs with large sandbags.
Rescuers enter tunnel to free Moroccan boy trapped in well
Morocco held its breath as rescue workers on Saturday entered a tunnel leading to a pocket where a five-year-old boy has been trapped for days after falling into a well, AFP correspondents said.
Covid vaccination compulsory in Austria, in EU first
It's official: Austrians over the age of 18 must be vaccinated against Covid-19 from Saturday or face the possibility of a heavy fine, an unprecedented measure in the European Union.
Increasing urgency over fate of Moroccan boy stuck days in well
Moroccan rescuers worked through the night into Saturday, the fifth day of an increasingly urgent and nerve-wracking effort to rescue Rayan, a five-year-old boy trapped underground in a well.
US panel recommends release of mentally ill Guantanamo detainee
American authorities have recommended releasing a mentally ill inmate from Guantanamo Bay and repatriating him to Saudi Arabia, according to a government document published Friday.
Cyclone Batsirai nears Madagascar, poses 'very serious threat'
Cyclone Batsirai was expected to reach eastern Madagascar on Saturday, posing a "very serious threat" to millions with powerful winds and torrential rains set to batter the large Indian Ocean island.
Death toll from laced cocaine in Argentina climbs to 24
The death toll among dozens of people who consumed cocaine likely laced with opioids in Buenos Aires rose to 24 on Friday, with 23 still in hospital, health officials said.
Compulsory vaccination rules come into force in Austria
It's official: From Saturday, Austrians over the age of 18 must be vaccinated against Covid-19 or face the possibility of a heavy fine, an unprecedented measure in the European Union.
Peru president sacks PM accused of domestic violence
Peruvian President Pedro Castillo dumped his prime minister Friday just three days after appointing him, amid outrage over revelations he was accused of domestic violence in 2016.
Colombian charged in Haiti president's killing pleads not guilty in US court
A former Colombian soldier charged in the United States with participating in the assassination of Haitian President Jovenel Moise pleaded not guilty Friday, his lawyer in Miami said.
Quito flooding toll raised to 27
The heaviest flooding to hit Ecuador in two decades claimed 27 lives this week and left 53 people injured, municipal officials said Friday.
Ottawa police chief vows crackdown on 'unlawful' protest
Ottawa's police chief vowed Friday to crack down on an "unlawful" occupation of the Canadian capital by protesters opposed to vaccine mandates, as the trucker convoy's clogging of the city enters a second week.
Iceland to end whaling as demand dwindles
Iceland, one of the only countries that still hunts whales commercially, said Friday it plans to end the practice from 2024 as demand for whale meat dwindles.
News Corp says hacked in potentially China-tied attack
Media giant News Corp said Friday it was hit by hackers who stole company data in an attack that the firm's cybersecurity consultant said could likely be traced back to China.
Death toll from laced cocaine in Argentina climbs to 23
The death toll among dozens of people who consumed cocaine likely laced with opioids in Buenos Aires rose to 23 on Friday, with 37 still in hospital, health officials said.
Toxic ash from DR Congo volcano falling on Goma
More than eight months after the Nyiragongo volcano erupted in the eastern Democratic Republic of Congo, toxic ash has started falling on nearby Goma, the city's Volcano Observatory said on Friday.
France prop Haouas given suspended jail sentence for theft
France prop Mohamed Haouas was convicted on Friday for his role in burglaries worth tens of thousands of euros at tobacco vendors in France in 2014.
Sailors stranded off France's La Reunion by Cyclone Batsirai saved
The crew of an oil tanker stranded near the coast of the Indian Ocean island of La Reunion after Cyclone Batsirai swept the region were rescued and brought ashore Friday, officials said.
UN demands Taliban provide info on two more missing women activists
The United Nations has demanded the Taliban provide information on two more women activists allegedly detained by the group this week -- bringing to four the number missing this year.