The Irish Press - Guam braces for direct hit from Super Typhoon Mawar

Guam braces for direct hit from Super Typhoon Mawar
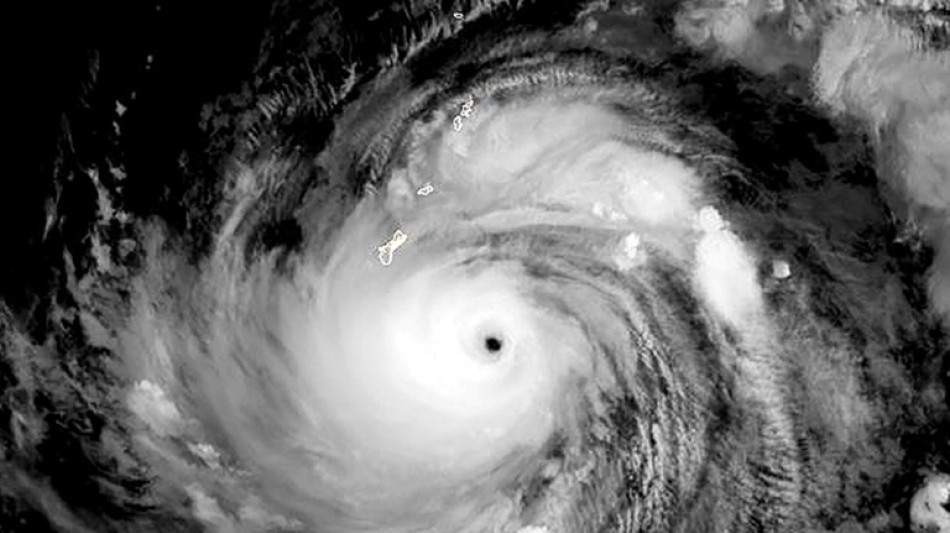
Guam braces for direct hit from Super Typhoon Mawar / Photo: Jose ROMERO - NOAA/RAMMB/AFP

Guam braces for direct hit from Super Typhoon Mawar

Super Typhoon Mawar packing potentially catastrophic winds is heading for a direct hit on Guam, a US territory in the Pacific that is a crucial US military outpost.

Text size:

A National Weather Service report said Mawar was intensifying into a Category Five super typhoon with maximum sustained winds of 160 miles per hour, and gusts up to 200 mph.

"I am worried for the safety of our people. This is the first storm of this magnitude for 20 years," Governor Lou Leon Guerrero said.

On its current trajectory, Mawar will pass directly over the island of 170,000 people, unleashing torrential rains and extreme flooding.

"Mawar is forecast to intensify through tonight," the NWS said.

As of 4:00 am Wednesday Guam time (1800 GMT), the storm was 85 miles (135 kilometers) southeast of Guam, packing maximum sustained winds of 155 mph, the National Weather Service office in Guam said in an advisory.

"Passage very near or directly over Guam is imminent," the forecaster said.

Authorities ordered the evacuation of low-lying coastal areas, especially in flood-prone southern villages.

"The triple threats of Super Typhoon Mawar are torrential rains that may result in landslides and flash flooding, catastrophic wind, and life-threatening storm surge," it said.

Winds could gust up to 200 mph near the eye wall, bringing major damage to buildings and homes made of light materials, such as non-concrete roofs and walls that are not made of reinforced concrete.

A calamitous storm surge threatens to wreak havoc on shorelines, and large boats "could be torn from moorings."

"Surge may reach to between 20 and 25 feet above normal high tide for the most vulnerable storm surge prone areas near the eye wall," the NWS statement said.

Some 21,700 US military personnel and their families are based at or near several facilities on Guam, which routinely hosts nuclear attack submarines, long-range bombers and is home to crucial electronic listening posts.

The US bases also host some of the Pacific region's most significant ammunition and fuel storage facilities.

Forecasts predict Guam will receive rainfall of 10 to 15 inches, with some areas experiencing 20 inches or more, the NWS said.

These in turn could trigger landslides in the central and southern parts of the island, the weather service warned.

In a Facebook post, Guerrero warned the island's residents to "SEEK SHELTER IMMEDIATELY" with the onset of damaging winds expected even before the storm strikes in full force.

People have been asked to stay inside and away from windows, and not venture outside during temporary lulls as flying debris can cause serious injury.

President Joe Biden declared a state of emergency for Guam on Tuesday so that federal aid can be provided to the island, according to a statement from the White House.

About 60 flights departing from or arriving in Guam and scheduled between Tuesday and Thursday have been canceled, A.B. Won Pat International Airport said.

Conditions are predicted to improve on Thursday.

I.Barone--IM