The Irish Press - Typhoon Mawar set for direct hit on Guam

Typhoon Mawar set for direct hit on Guam
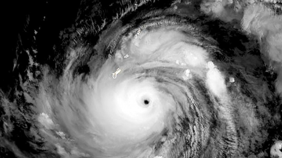
Typhoon Mawar set for direct hit on Guam / Photo: Jose ROMERO - NOAA/RAMMB/AFP

Typhoon Mawar set for direct hit on Guam

Typhoon Mawar, packing potentially catastrophic winds, was on Wednesday heading for a direct hit on Guam, a US territory in the Pacific that is home to a crucial military outpost.

Text size:

A National Weather Service report said Mawar was intensifying into a Category Four super typhoon with maximum sustained winds of 140 miles per hour (225 kilometers per hour).

"I am worried for the safety of our people. This is the first storm of this magnitude for 20 years," Guam Governor Lou Leon Guerrero said.

On its current trajectory, Mawar will pass directly over the island of 170,000 people, unleashing torrential rains and extreme flooding.

As of 10:29 am Wednesday local time (0029 GMT), the storm was 60 miles (95 kilometers) southeast of the island, the National Weather Service office in Guam said in an advisory.

The typhoon was expected to move "just south or directly over Guam this afternoon", the forecaster said.

Authorities ordered the evacuation of low-lying coastal areas, especially in flood-prone southern villages.

The NWS warned of the "triple threats" of torrential rains, catastrophic wind and life-threatening storm surge.

Winds near the eye wall could bring major damage to buildings and homes made of light materials, such as non-concrete roofs and walls that are not made of reinforced concrete.

A calamitous storm surge threatens to wreak havoc on shorelines, and large boats "could be torn from moorings."

"Surge may reach to between 20 and 25 feet above normal high tide for the most vulnerable storm surge prone areas near the eye wall," the NWS statement said.

Some 21,700 US military personnel and their families are based at or near several facilities on Guam, which routinely hosts nuclear attack submarines and long-range bombers.

It is also home to crucial electronic listening posts.

The US bases also host some of the Pacific region's most significant ammunition and fuel storage facilities.

Forecasts predicted Guam will receive rainfall of 10 to 15 inches, with some areas experiencing 20 inches or more, the NWS said.

These in turn could trigger landslides in the central and southern parts of the island, the weather service warned.

"Residents who are in need of shelter need to seek shelter no later than 9AM as we expect the storm to intensify in the next few hours," Guerrero said in a Facebook post.

People have been asked to stay inside and away from windows, and not venture outside during temporary lulls as flying debris can cause serious injury.

President Joe Biden declared a state of emergency for Guam on Tuesday so that federal aid can be provided to the island, according to a statement from the White House.

About 60 flights departing from or arriving in Guam and scheduled between Tuesday and Thursday have been canceled, A.B. Won Pat International Airport said.

Conditions are predicted to improve on Thursday.

L.Bernardi--IM